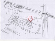
ที่ดินสวยทำเลดีถนนกรุงธนบุรี6 เนื้อที่ 209 ตารางวา หน้ากว้าง 40 เมตร ใกล้รถไฟฟ้าBTS กรุงธนบุรี
ขายที่ดินสวยทำเลดีเนื้อที่ 209 ตารางวา หน้ากว้าง 40 เมตร
ถนนสาทร-ตากสิน ซอยกรุงธนบุรี6 ใกล้ปากซอยเพียง 200 เมตร
ทางเข้าเป็นถนนคอนกรีตกว้าง 6เมตร หันหน้าทางทิศใต้
มีถนนเชื่อมเข้าออกได้หลายเส้นทาง ถนนสมเด็จพระเจ้าตากสิน
ถนนกรุงธนบุรี 4-6 และถนนเจริญนคร 28 (ซอยกรมที่ดินสาขาธนบุรี)
อยู่ใกล้สถานีรถไฟฟ้า BTS กรุงธนบุรี และ สถานีรถไฟฟ้า BTS วงเวียนใหญ่เพียง 300 เมตร เหมาะสำหรับสร้างสำนักงาน ออฟฟิศ อพาร์ทเมนท์ โกดัง ทาวน์เฮ้าส์ ตึกแถวหรืออื่นๆ
สถานที่ใกล้เคียง
ใกล้วงเวียนใหญ่ โรบินสันลาดหญ้า
ใกล้ The Mall ท่าพระ
ใกล้ Big C ดาวคนอง และ CitiMall ถนนเจริญนครที่จะเปิดตัวในปี 56
ขายเพียง 200,000บาท(สองแสนบาท)/ตารางวา
รวม 41,800,000บาท (41.8 ล้านบาท) ราคาต่อรองได้ พร้อมโอน
งดนายหน้า
รูปเพิ่มเติม
http://s429.photobucket.com/albums/qq15/babydawn2009/Krungthonburi%20Soi6/?albumview=slideshow
(ชมสไลด์โดยCopy Link ใส่ที่ช่อง Address Bar หรือ URL แล้วกด Enter)
สนใจติดต่อ: คุณรัตน์
โทรศัพท์: 089-103-1144 , 081-308-2867
อีเมล์: [email protected]
ซอยกรุงธนบุรี 6 แขวงบางลำภูล่าง เขตคลองสาน กรุงเทพฯ 10600
![]() | ![]() | ![]() | |||
![]() | ![]() |
| ราคา: | 41,800,000 | ต้องการ: | ขาย |
| ติดต่อ: | คุณรัตน์ | อีเมล์: | |
| โทรศัพย์: | 0891031144 | IP Address: | 58.9.218.181 |
| มือถือ: | 0891031144 | จังหวัด: | กรุงเทพมหานคร |
| คำค้น: | ที่ดิน ใกล้รถไฟฟ้าบีทีเอช | ที่ดินใกล้รถไฟฟ้าbts | ที่ดิน ย่านกรุงธนบุรี | ที่ดิน คลองสาน | ที่ดินใกล้สาธร | | ||





