สุดยอดเครื่องนวดหน้าที่ดีที่สุดในเกาหลี(มีระบบเลเซอร์)ยกกระชับหน้าได้จริงพิสูจน์แล้วจากคนอายุ49
รายละเอียด :(พร้อมส่ง จำนวนจำกัด)
http://www.ilovemyshopping.com/th/?pair3125">http://www.ilovemyshopping.com/th/?pair3125
iOLA มีฟังก์ชันการทำงานพร้อมกันของการผสมของไอออนกับไฟฟ้า, รังสีอินฟราเรด, การสั่นสะเทือนและเลเซอร์ซึ่งมีการค้นพบครั้งแรกของโลกไร้สายในอุปกรณ์บำรุงผิวชาร์จ
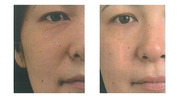
หลังการใช้ดูที่
http://www.212cafe.com/freewebboard/view.php?user=nanalady&id=456804">http://www.212cafe.com/freewebboard/view.php?user=nanalady&id=456804
ระบบการทำงาน 6 ระบบ
1 . นวดหน้า เพื่อหน้าใส ใช้กับครีมนวดหน้า (สั่น 1 ล้านครั้งต่อวินาที)
-ด้วยพลังของแอดวานซ์ อัตร้าโซนิค ซึ่งมีแรงสั่นสะเทือนมากกว่า 1 ล้านครั้ง ต่อ วินาที
-นวดกระตุ้นให้เซลล์ผิวทำงานได้อย่างมีประสิทธิภาพ ผสานกับครีมบำรุงที่แตกตัวเล็กลงไป และซึมซาบเข้าสู่เซลล์ผิวชั้นในได้อย่างมีประสิทธิภาพ
-ช่วยกระตุ้นให้น้ำและน้ำเหลืองไหลเวียนดีขึ้น ซึ่งส่งผลให้ใบหน้าตึงเปล่งปลั่งและสดใส
2. นวดล้างหน้า เพื่อหน้าที่สะอาดใส
-ด้วยพลังจากกัลป์วานิค ไอออน โดยละอองประจุลบ
-สามารถดึงสิ่งสกปรกออกจากผิวพรรณได้อย่างหมดจด
-ใบหน้าจะสะอาดเกลี้ยงเกลาและสดใส
3. นวดหน้าใช้กับครีมบำรุงหรือวิตามิน ซี เพื่อให้ครีมบำรุงเข้าสู่ผิวชั้นลึก
4 . นวดยกกระชับหน้า เพื่อผิวที่ตึงกระชับไม่หย่อนคล้อย(ปุ่มนี้ค่ะ ยกกระชับหน้าได้จริง)
-ช่วยฟื้นฟูผิวที่ถูกทำลาย ริ้วรอยบนใบหน้า และลำคอ ซึ่งจะเห็นผลได้ทันที
-ช่วยชะลอและป้องกันปัญหาของไขมันบนใบหน้า และคางสองชั้นได้อย่างมีประสิทธิภาพ
5.นวดเพื่อหน้าขาวโดยเฉพาะ
6.นวดริ้วรอย ตามจุดต่างๆที่มีปัญหาบนใบหน้าโดยเฉพาะ
iOLA สี่หน้าที่มีการใช้แยกกันในประเภทของโหมด ion และโหมดเลเซอร์ขึ้นอยู่กับวัตถุประสงค์ของคุณเอง ทั้งสี่ฟังก์ชันที่จะใช้ ในเวลาที่ขจัดสิ่งสกปรกจากผิวและช่วยให้ผลิตภัณฑ์ละลายน้ำบำรุงผิวให้ซึมเลึกสู่ผิว, สุขภาพผิวดีขึ้น
iOLA เป็นทางออกสำหรับปัญหาผิวเช่น สิวฝ้าสิ่งสกปรกและแห้งและผิวมันและเพื่อช่วยให้ผิวมีสุขภาพดีและสะอาด
ไอออนกับไฟฟ้ากำลังการกลั่นอย่างปลอดภัยและเป็นคุณภาพของกระแสไฟฟ้าใช้ แล้วที่ขั้วประมวลผล (+ / -- ไอออน) ช่วยทำให้ผลิตภัณฑ์บำรุงผิวแตกตัวเล็กที่จะดูดซึมเข้าสู่ผิวและปิดผิวรูขุมขน ตั้งแต่ชั้นนอกของผิว และสารอาหารจะดูดซึมเข้าสู่ผิว iOLA ของฟังก์ชัน ion กับไฟฟ้าเจาะชั้นนอกและการขนส่งสารอาหารให้แตกตัวเลึกสู่ผิว
นอกจากนี้ยังเป็นประโยชน์สำหรับหน้า ที่เกิดจากสิวอ่อนและขาว นอกจากนี้ยัง ionizes องค์ประกอบชีวภาพของผลิตภัณฑ์ดูแลผิวและช่วยให้การดูดซึมได้ง่ายลึกผิวสำหรับการเปิดใช้งาน
เลเซอร์ ผิวแสงเลเซอร์ของอุปกรณ์ที่มีพลังงานที่มีความยาวคลื่นปกติและช่วยดูแลผิวที่บอบบางและปัญหาผิวต่างๆ
การใช้แสงเลเซอร์ low - powered, iOLA
- ส่งเสริมการเผาผลาญและช่วยฟื้นฟูเซลล์ผิวและเพิ่มระบบภูมิคุ้มกันของผิวควรนำไปใช้กับ จุดสำคัญบนผิวหนังและกล้ามเนื้อ ซึ่งใช้สำหรับการผ่อนคลายกล้ามเนื้อใบหน้าและแก้ปัญหาผิวต่างๆ
-iOLA ของรังสีอินฟราเรดช่วยดูแลผิวเสียหายจาก UV และหน้าที่การสั่นสะเทือนของการส่งเสริมการไหลเวียนโลหิตและขจัดสิ่งสกปรกกระตุ้นผิว หน้าที่ผสมของ iOLA ช่วยให้ ผิวสุขภาพดี
-ต้องการมีผิวดี ... จากส่วนที่สำคัญที่สุดในการทำความสะอาดผิวขั้นพื้นฐานใส่ใจเครื่องสำอางค์และการทำงานหลายชนิด แพ็คหน้า การจัดการทุกชนิดปัญหาผิวและ นวด ... ดังไกลถึงผิวที่สมบูรณ์แบบ
-iOLA สามารถสนับสนุนการทำงานของเครื่องสำอางของคุณเองที่มีอยู่และ ดูแลผิวจากการทำความสะอาด
เพื่อการทำงานเฉพาะอย่างสะดวก หน้าที่ของไอออนกับไฟฟ้า, เลเซอร์รังสีอินฟราเรดและการสั่นสะเทือนพร้อมกันเพื่อเอาสิ่งสกปรกและช่วยให้ผลิตภัณฑ์บำรุงผิวจะซึมลึกสู่ผิวของคุณเหลือผิวสุขภาพดี
นอกจากนี้ยังมีเครื่องนวดหน้า dione รุ่นใหม่ที่ทำงานมากกว่าเมืองไทย 1 ระบบ (ไทยขาย 12500 ทางร้านขาย 5100 พิเศษสุดสั่งซื้อตอนนี้ แถมเจลหน้าใสหลอดใหญ่ที่ใช้กับเครื่องนวดหน้าโดยเฉพาะมูลค่า 590 ฟรี)
![]() | ![]() | ![]() |
| ราคา: | 9,700 | ต้องการ: | ขาย |
| ติดต่อ: | 0846365997 | อีเมล์: | |
| โทรศัพย์: | 0846365997 | IP Address: | 115.67.40.66 |
| มือถือ: | 0846365997 | จังหวัด: | กรุงเทพมหานคร |
| คำค้น: | เลเซอร์ยกกระชับหน้า | เครื่องยกกระชับหน้าจากเกาหลี | | ||



