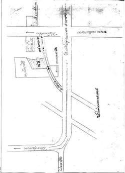
ให้เช่า ที่ 14 ไร่ ในซอยเพชรเกษม 91 ที่สวยแปลงใหญ่ติดถนน 5000/เดือน
ให้เช่า ที่ 14 ไร่ ในซอยเพชรเกษม 91 ที่สวยแปลงใหญ่ติดถนน ขายด่วน++ ที่ดินเปล่า 14 ไร่ ติดถนน ในซอย เพชรเกษม 91 เข้าซอยไปเพียง 1 กม. ที่ดินอยู่ติดกับหมู่บ้านเบญจศิริ ที่สวยมากๆ อยู่ในแหล่งชุมชน
ฝั่งตรงข้ามเป็นการเคหะแห่งชาติ 17 ตึก สามารถทำหมู่บ้าน ตลาดนัด ปลูกบ้าน หรือสร้างโรงงานได้ เป็นพื้นที่สีเหลือง ต้องการให้เช่าไร่ละ 5000 บาท/เดือนเท่านั้น!!! ถูกกว่านี้ไม่มีอีกแล้ว สนใจติดต่อ สุพจน์ วิบูลย์จันทร์ 024162419 024160855 0814803711 0863844106
![]() | ![]() |
| ราคา: | 5,000 | ต้องการ: | ให้เช่า |
| ติดต่อ: | สุพจน์ | อีเมล์: | |
| โทรศัพย์: | 024160855 | IP Address: | 58.64.114.199 |
| มือถือ: | 0814803711 | จังหวัด: | สมุทรสาคร |


