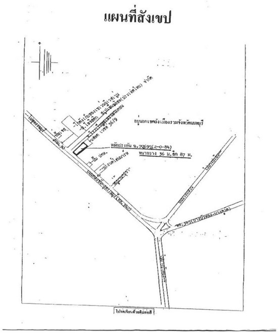
ขายด่วน! ที่ดินทำเลดี อยู่ริมถนนบางบัวทอง - สุพรรณบุรี
ขายด่วน! ที่ดินทำเลดี อยู่ริมถนนบางบัวทอง - สุพรรณบุรี กม.30
ข้างโกดัง TESCO - LOTUS
เนื้อที่ 884 ตารางวา หน้ากว้างประมาณ 38 ม. ลึก 90 ม.
เป็นทำเลที่เหมาะแก่การทำโชว์รูมหรือตลาด ฯลฯ เพราะใกล้แหล่งชุมชน
ราคาตลาด 22,100,000 บาท
ราคาประเมินธนาคาร 19,500,000 บาท
ขายเพียงราคา 18,500,000 บาท เท่านั้น!
ถ้าสนใจสามารถติดต่อสอบถามได้ที่ คุณธาดา Tel. 081-3989777
![]() |
| ราคา: | 18,500,000 | ต้องการ: | ขาย |
| ติดต่อ: | คุณธาดา | อีเมล์: | |
| โทรศัพย์: | IP Address: | 58.9.108.185 | |
| มือถือ: | 081-3989777 | จังหวัด: | นนทบุรี |

