ที่ดินสระบุรี 25 ไร่ 5.5 ล้านบาท ถูกที่สุด!ราคานี้หาไม่ได้อีกแล้ว ที่ดินเปล่าสวยๆ ทำเลดีๆ หัวมุม ติดถนน 2 สาย เจ้าของขายเอง ต่อรองได้ มีแผนที่ให้ชม
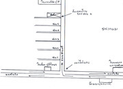
ติดถนน สายตรี และ ถนนซอย 6 เป็นที่ดินรูปสี่เหลี่ยมผืนผ้า
ที่ตั้ง : 23 ธารเกษม ถนน สายตรี อำเภอ พระพุทธบาท จังหวัด สระบุรี
เหมาะที่จะซื้อเก็งกำไร/ลงทุนปลูกสร้างตึก/ที่ดินการเกษตร ราคา 5.5 ล้านบาท ต่อรองได้ เจ้าของขายเอง ติดต่อ : หงส์ 089-6644246
ตำแหน่งพิกัด : http://maps.google.co.th/maps?q=14.774167,100.798295&num=1&t=h&sll=14.774582,100.79882&sspn=0.005229,0.00692&gl=th&hl=th&ie=UTF8&ll=14.774582,100.79882&spn=0.005229,0.00692&z=17
![]() | ![]() | ![]() |
| ราคา: | 5,500,000 | ต้องการ: | ขาย |
| ติดต่อ: | หงส์ | อีเมล์: | |
| โทรศัพย์: | 089-6644246 | IP Address: | 125.26.11.106 |



